Croton adenophorus — a medium houseplant
SPECIMEN · FROM THE LIBRARY
Croton adenophorus

Croton Adenophorus

Updated · 1 observations
ON THIS PLANT

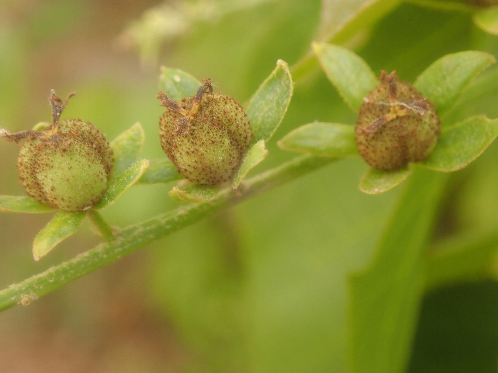
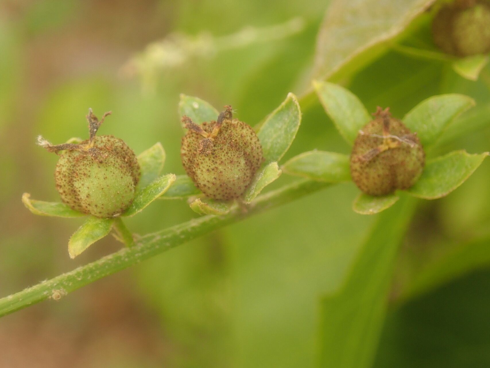
Croton adenophorus, synonym Croton subaemulans, is a species of plant of the genus Croton and the family Euphorbiaceae, native to the Comoros and Madagascar.

PLATES
Croton adenophorus flower
PLATE 01 · flower
Croton adenophorus flower
PLATE 02 · flower
Croton adenophorus fruit
PLATE 03 · fruit
Croton adenophorus fruit
PLATE 04 · fruit
ALSO IN THE LIBRARY

You might also like.