Glochidion caledonicum — a medium houseplant
SPECIMEN · FROM THE LIBRARY
Glochidion caledonicum

Glochidion Caledonicum

Updated · 10 observations
ON THIS PLANT
CHARACTERISTICS

Botanical profile.

Genus
Glochidion
Family
Phyllanthaceae
PLATES
Glochidion caledonicum leaf
PLATE 01 · leaf
Glochidion caledonicum flower
PLATE 02 · flower
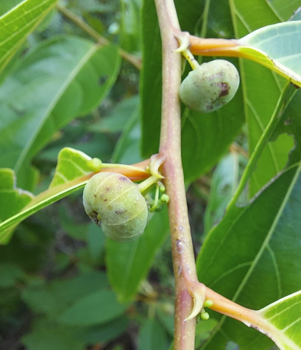
Glochidion caledonicum fruit
PLATE 03 · fruit
ALSO IN THE LIBRARY

You might also like.