Lonchocarpus lanceolatus — a medium houseplant
SPECIMEN · FROM THE LIBRARY
Lonchocarpus lanceolatus

Lonchocarpus Lanceolatus

Updated · 4 observations
ON THIS PLANT
CARE GUIDE

How to keep Lonchocarpus Lanceolatus.

Pruning

Lonchocarpus lanceolatus features elongated leaves and vibrant flowers that benefit from careful pruning in early spring, just before new growth begins. Use sharp shears to remove any dead branches and improve airflow throughout the plant. Pruning at a 45-degree angle not only enhances the plant's appearance but also promotes its health by preventing disease and encouraging robust blooms.

CHARACTERISTICS

Botanical profile.

Life Cycle
Perennial
Genus
Lonchocarpus
Family
Fabaceae
PLATES
Lonchocarpus lanceolatus leaf
PLATE 01 · leaf
Lonchocarpus lanceolatus leaf
PLATE 02 · leaf
Lonchocarpus lanceolatus flower
PLATE 03 · flower
Lonchocarpus lanceolatus flower
PLATE 04 · flower
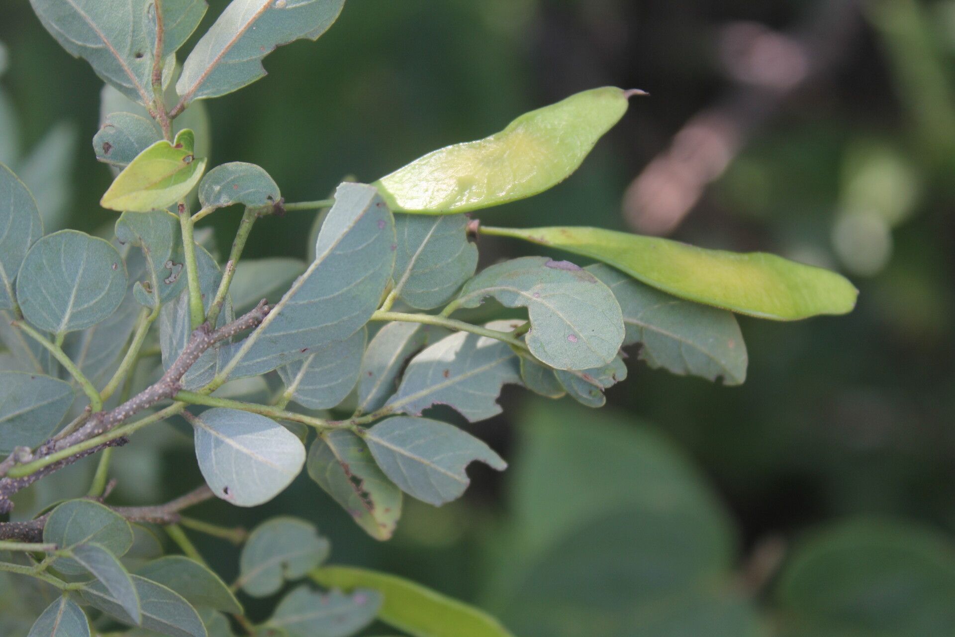
Lonchocarpus lanceolatus fruit
PLATE 05 · fruit
Lonchocarpus lanceolatus bark
PLATE 06 · bark
ALSO IN THE LIBRARY

You might also like.