ON THIS PLANT
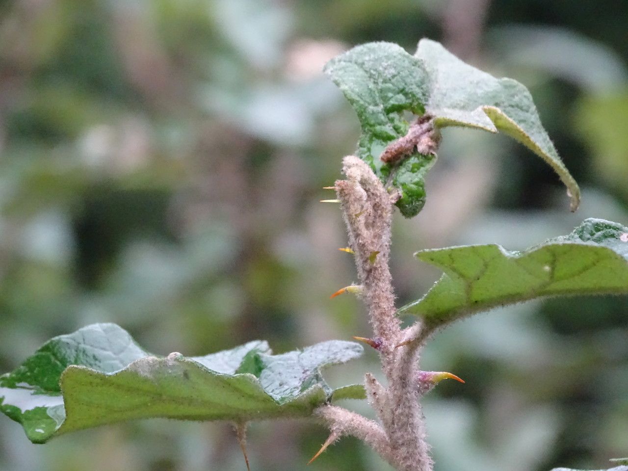
Solanum agnewiorum is a species of Solanum. The species is andromonoecious.: 16 It is native to Kenya and occurs in 4 locations.Solanum agnewiorum is currently listed as endangered by the IUCN.
CHARACTERISTICS
Botanical profile.
- Genus
- Solanum
- Family
- Solanaceae
PLATES